Así es Danas, el tifón que afecta a Taiwán: ráfagas de viento de casi 150 km/h, 3.000 evacuados y 500 mm de lluvias
Unas 3.000 personas fueron evacuadas el domingo en varios puntos de la isla. Se mantiene el alerta del clima y piden tomar medidas de precaución a la población, mientras las autoridades trabajan en áreas afectadas.

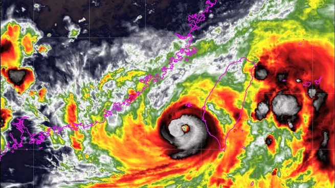
Así es la zona donde impacta el tifón danas en Taiwán, en el sur del Mar de China.
Unas 3.000 personas fueron evacuadas este domingo en Taiwán, según las autoridades, mientras el tifón Danas azota la isla con lluvias torrenciales, causando inundaciones y deslizamientos de tierra.
Con ráfagas de viento de 137 kilómetros por hora, se espera que Danas se desplace durante la noche hacia el norte a través de la costa occidental de Taiwán, informó la Administración Meteorológica Central en un comunicado.
El tifón Danas azota Taiwán con ráfagas de viento de casi 150 km/h y lluvias intensas
En total, 2.853 personas fueron evacuadas, según la Agencia Nacional de Bomberos, de las cuales la mayoría residía en zonas montañosas alrededor de la ciudad portuaria de Kaohsiung.
Danas provocó la caída de más de 500 milímetros de lluvia en el sur de la isla durante el fin de semana, precisó la agencia meteorológica, que advirtió de fuertes lluvias en el resto de la isla a medida que el tifón se desplaza hacia el norte. “Desde esta noche hasta mañana por la mañana se producirán los mayores impactos de viento y lluvia”, agregó.
Los bomberos reportaron al menos 10 corrimientos de tierra y 49 zonas inundadas, aunque el agua ya se retiró. Unas 28 personas fueron atendidas por heridas leves, agregaron. En Taiwán, las tormentas tropicales entre julio y octubre son frecuentes.
Los comentarios están cerrados.